Бойлық кескіннің қабаттасуын және көлденең кескіннің қабаттасуын анықтау


Әл-Фараби атындағы Қазақ Ұлттық Университеті
География және Табиғатты пайдалану факультеті
Реферат
Тақырыбы : Бойлық кескіннің қабаттасуын және көлденең кескіннің қабаттасуын анықтау
Орындаған: Бірлікқызы Зерде
Мамандығы: Кадастр 2 курс
Тексерген: Кожахметов Базаралы Т.
Алматы 2020 ж
Теміржол желісінің жер төсемі осінің тік жазықтыққа проекциясы оның бойлық профилін білдіреді. Сызбада бұл көлденең платформаларды, әртүрлі ұзындықтар мен көлбеуліктерді бейнелейтін түзу сегменттердің тіркесімі. Проектируя профиль не тау еңістердің жекелеген элементтерін аспауы тиіс басшы еңіс қабылданған осы желі үшін.
Жетекші көлбеу тікелей учаскедегі ең үлкен көлбеу деп аталады, ол бойынша жүк пойызы массасының нормасы бір тартыммен және берілген қозғалыс жылдамдығымен есептеледі; ол техникалық-экономикалық есептеулермен, алдағы тасымалдау көлемін, жүк айналымының өсу қарқынын, пойыздардың тарту түрі мен аймақтың топографиялық жағдайларын, сондай-ақ іргелес желілер мен бағыттардағы пойыздардың массасын ескере отырып белгіленеді. желі. Ең жиі басшылық көлбеуі 6-9‰құрайды. Тау жағдайында жаңадан салынған I және II санаттағы желілерде ол 15‰ дейін, III санаттағы желілерде - 20‰ дейін, ал IV және V санаттарда - 30‰дейін жетуі мүмкін. Екінші жолдарды салу кезінде әдетте қолданыстағы жолдың жетекші көлбеуі қабылданады. Қисық учаскелерде басқару көлбеуі пойыздың қисық сызықтан қозғалысына қосымша қарсылыққа сәйкес азайтылуы керек.
Станциялар, разъездер және ОЗУ пункттері, әдетте, көлденең алаңдарда орналастырылады. Осыдан ауытқу жобада негізделуі керек. Жекелеген жағдайларда еңістер 1, 5‰ дейін, қиын жағдайларда - 2, 5‰ дейін, ал маневрлер мен локомотивтерді немесе вагондарды құрамнан ағыту көзделмеген жерлерде келісім бойынша 12‰ дейін рұқсат етіледі, бірақ бұл ретте поездарды локомотивтердің тежегіштерімен ұстау үшін жағдайлар, сондай-ақ поездардың орнынан қозғалу жағдайлары қамтамасыз етілуі тиіс. Барлық жағдайларда жылжымалы құрамның станциялық жолдан роликті мойынтіректері бар өздігінен кету мүмкіндігі болмауы тиіс.
Бойлық профиль мүмкіндігінше ұзын элементтермен және конъюгацияланған көлбеулердің ең аз алгебралық айырмашылығымен жасалған. Әдетте, әр элементтің ұзындығы пойыздың ұзындығына тең қашықтықта профильдің бір сынуынан көп болмауы үшін болашаққа қабылданған қабылдау-жөнелту жолдарының пайдалы ұзындығының жартысынан кем болмауы керек. Қабылдау-жөнелту жолдарының ұзындығы неғұрлым көп болса, қиылысатын көлбеулердің алгебралық айырмашылығы соғұрлым аз болады. Пойыздардың үлкен массасы қабылдау-жөнелту жолдарының үлкен ұзындығымен байланысты және олар үшін көлбеу айтарлықтай айырмашылығы бар жерден қозғалу қамтамасыз етілмеуі мүмкін. Алғашқы үш санаттағы сызықтар үшін түйісетін еңістердің ең үлкен айырмашылығына жол беріледі:
Длина приемо-отправочных путей, м Разность уклонов, ‰
850 8-10
1050 6-8
1250 5-6
Тораптардағы айрықтар үшін бойлық профиль элементтерінің ұзындығын 200 м - ге дейін, ал IV және V санаттағы жолдардың жолдарында-100 м-ге дейін азайтуға рұқсат етіледі, еңістердің алгебралық айырмашылығы 3 ‰ - ден асатын іргелес тік сызықты элементтер I санаттағы сызықтарда радиусы кемінде 15000 м, II және III санаттағы сызықтарда 1 м және IV санаттағы сызықтарда кемінде 5000 м дөңгелек қисықтың тік жазықтығында түйіседі.
Бойлық профиль элементтерін жұптастыру (сурет. 1) келесідей есептеледі. Арақашықтық нүктелері сынықтың профиль дейін нүктелерін басынан аяғына дейін сопрягающей қисық сызықтар тангенсов)
мұндағы R-ұштасатын қисықтың радиусы, м;
i1 және i2 - жұптасатын элементтердің көлбеуі, ‰.
профильде сыну нүктесіндегі белгілердің жоғарылауы және иілген профильде төмендеу
Плюс белгісі - көтерілу мен түсу түйіскен кезде, ал минус белгісі-көтерілу мен көтерілу немесе түсу кезінде қабылданады.
Қиылысатын қисықтың басы мен соңы мен бойлық профильдің сыну нүктесі арасындағы аралық нүктелер үшін ординаттар есептеледі
мұндағы x-қиылысатын қисықтың басынан немесе соңынан ординатаның шамасы анықталатын нүктеге дейінгі қашықтық, М.
Сур. 1-бойлық профиль элементтерінің түйісуі: а-түсіру алаңдары; б-көтеру арқылы көтеру; в-түсіру арқылы көтеру
I санаттағы жаңа желілерді жобалау және жолаушылар поездарының жүрдек қозғалысын ескере отырып, екінші жолдарды салу кезінде басшылық еңісінің шамасы 9‰ аспайды, ал аралас тік сызықты учаскелердің тік жазықтықтағы түйісулері радиусы 15000 м дөңгелек қисықтармен көзделеді.
Тығыз жағдайларда түйісу қисығының радиусын 1 м-ге дейін азайтуға рұқсат етіледі, бейіннің сынуы өтпелі қисықтардың бастапқы және соңғы нүктелерінен, сондай-ақ рельс-шпалдық тор балласт қабатында орналаспаған аралық құрылыстардан, түйісу қисығының радиусы 15000 м кезінде түйіндесетін еңістердің әрбір 1‰ айырмашылығына кемінде 7, 5 м және түйісу қисығының радиусы 1 м кезінде еңістердің әрбір 1‰ айырмашылығына кемінде 5 м қашықтықта тұруы тиіс. ұштасатын қисықтар бағыттамалы бұрмалардың шектеріне де кірмеуі тиіс. Пайдаланылатын жолдарда жолаушылар поездарының жүрдек қозғалысын енгізу кезінде қолданыстағы бойлық бейін өзгермейді.
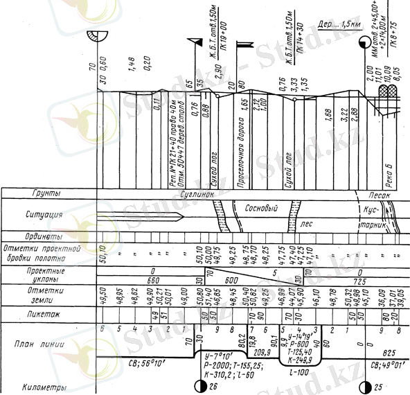
Сызықтың бойлық профилінің сызбасында оның жоспары, жер бетінің профилі, құрылымдардың орналасуы және іргелес аймақтың жағдайы келтірілген. Кескіннің масштабы мен құрамындағы мәліметтер саны бойынша бойлық профиль сызбаларының екі түрі бөлінеді: қалыпты (егжей-тегжейлі) және қысқартылған. Қалыпты бойлық профиль әдетте әртүрлі жобалық мәселелерді шешу үшін қолданылады (екінші жолдарды жобалау, бұтақтар мен қоғамдық емес жолдардың түйісуі, станцияларды дамыту және т. б. ), ал қысқартылған бойлық профиль негізінен Локомотив, дизель және электр пойыздарының жүргізушілеріне арналған.
Қалыпты бойлық профиль (сурет. 2) көлденең қашықтық үшін 1:1 және тік қашықтық үшін 1:1000 масштабта сызылады. Оның төменгі бөлігі тор деп аталады, ал жоғарғы бөлігі профильдің өзі. Тордың төменгі жағында жоспар сызығы орналасқан. Онда жолдың түзу учаскелері көлденең сызықтардың сегменттерімен ұсынылған, олардың үстіне учаскелердің ұзындығы метрмен, ал олардың астына бұрылыс бұрыштары (румбалар) қойылған. Тікелей доғадан шығу қисық бөліктерді білдіреді. Егер жердегі сызық оңға бұрылса, сызық солға - солға бұрылса, доға оң жаққа орналастырылады. Доғалардың ішінде қисық элементтердің сипаттамалары келтірілген: бұрылу бұрыштары, қисықтардың радиусы мен ұзындығы, тангенс сызықтарының ұзындығы және өтпелі қисықтар. Жоспар сызығынан төмен километрлер белгіленеді, ал жоғары-пикеттер. Жолдың әр шақырымында 100 м-ден он пикет бар, пикеттер графигінде пикеттер шекараларына сәйкес келмейтін рельефтің тән нүктелеріне дейінгі қашықтықтар плюс деп аталатын сандармен белгіленген. Пикеттер мен плюстер графигінің үстіне қара деп аталатын жер бетінің абсолютті немесе шартты белгілері қойылған.
Сур. 2-қалыпты бойлық профильдің үлгісі
Қара белгілердің үстінде график орналасқан, онда профильдің әр элементі үшін көлбеу сызық жобалық беткейлерді көрсетеді. Сызықтың төменнен жоғарыға қарай қисаюы көтерілуді, ал жоғарыдан төменге қарай түсуді білдіреді. Мыңнан асатын элементтердің көлбеуі сызықтың үстінде, ал ұзындығы сызықтың астында метрмен көрсетілген. Профиль элементтерін бөлетін тік сызықтардағы сандар жақын пикеттерге дейінгі қашықтықты көрсетеді. Дизайн беткейлерінің үстінде қызыл белгілер деп аталатын жер төсемінің белгілері жазылған график орналасқан. Олар қара сияқты өзгермейтін деңгейден есептеледі. Қызыл белгілердің үстіндегі тар график көмекші мәнге ие-профильдің одан әрі құрылысын жеңілдету үшін пикеттер мен артықшылықтардың орналасуы қайталанады.
Келесі бағанда жол осінің екі жағынан (жолдар, өзендер, орман, бұталар, алқаптар және т. б., сондай-ақ елді мекендер мен бөлек пункттер жолдарының схемалары) 100 м-ге жақын жердегі жағдай бейнеленген. Жоғарыда келтірілген жағдай жер бетінің топырақтары туралы ақпарат болып табылады және бойлық профиль осы бағанның үстінде орналасқан. Ол әрбір пикет пен плюс қарсы қара белгілерге сәйкес келетін тік масштабтағы сегменттермен ұсынылған, олардың ұштары түзу сызықтармен қосылған. Бойлық профиль элементтерінің шекараларында қызыл белгілерге сәйкес келетін перпендикулярлар қалпына келтірілді және олардың ұштары қосылды. Алынған сынған сызық жер төсемінің жобалық бойлық профилін білдіреді. Қызыл және қара белгілер арасындағы айырмашылық жұмыс белгілері деп аталады. Олар жағалаулардың биіктігін (профиль сызығының үстіндегі сандар) және ойықтардың тереңдігін (профиль сызығының астындағы сандар) көрсетеді. Профиль сызығында, сонымен қатар, өткелдердің осьтері, жол ғимараттарының, жасанды құрылыстардың және бөлек пункттердің орналасуы көрсетілген (сурет. 3) .
Сур. 3-бойлық профильдегі шартты белгілер
Қысқартылған бойлық профиль (сурет. 4) қалыптыдан айырмашылығы, ол таяз көлденең (2 см = 1 км) және үлкенірек тік (2 мм = 1 м) масштабқа ие. Оған жер төсемінің жобалық бойлық профилі және сызық жоспары, километраж, бөлек пункттердің осі және олардың арасындағы қашықтық, кіру және өту сигналдары, аялдама пункттерінің осінен оларға дейінгі қашықтықты көрсете отырып, кіру бағыттамалы бұрмалары, жол ғимараттары, өткелдер, жасанды құрылыстар салынады.
Сур. 4-қысқартылған бойлық профиль үлгісі
Көлденең рельеф жоспарын жасай отырып, сіз оның бойлық профилін белгіленген бағытта жасай аласыз, берілген көлбеу сызықты сызып, бөлу және ағызу сызықтарын анықтай аласыз. Мысалы, А станциясынан В пунктіне дейін өзеннің жағасында орналасқан жалпыға ортақ емес жолды жобалау қажет (сурет. 5, а) . А, б, в, г, д нүктелерінде осы жолдың жоспарда белгіленген бағыты әртүрлі белгілері бар көлденең қиылысады.
Сур. 5-берілген бағыттағы жергілікті жердің профилі АВ: а-көлденең жоспар; б-профиль
Осы бағытта рельефтің профилін жасау үшін, яғни жазықтыққа жайылған а - а - в - в - г - Д - В сызығы бойынша оның тік кесуін беру үшін сізге АВ сызығында қажет (сурет. 5, б) белгілі бір масштабта а, а, б, в, К, г, д, В нүктелері арасындағы қашықтыққа сәйкес келетін Аа1; а1б1; б1в1; в1к1; к1г1; г1д1 және д1В кесінділері кейінге қалдырылсын; содан кейін А, а1, б1, в1, к1, г1, д1, в нүктелерінен перпендикулярларды қалпына келтіру және оларға қабылданған масштабта жергілікті жердің тиісті нүктелерінің а' - В' белгілерін қою. Алынған нүктелерді байланыстыратын түзулердің сегменттері белгілі бір бағытта рельефтің профилі болып табылатын сынған сызықты құрайды.
Горизонтальдар арасында орналасқан К және В нүктелерінің белгілерін анықтау үшін қатынастар қолданылады:
мұндағы h-жақын орналасқан көлденең белгілердің айырмашылығы;
m, n және m1, n1-жоспарда қарастырылған нүктелерден жақын горизонттарға дейінгі қашықтық, сәйкесінше кіші және үлкен белгілері бар;
Н және Н1-к нүктелеріне жақын және қалағаннан аз белгілері бар көлденең белгілер.
... жалғасы- Іс жүргізу
- Автоматтандыру, Техника
- Алғашқы әскери дайындық
- Астрономия
- Ауыл шаруашылығы
- Банк ісі
- Бизнесті бағалау
- Биология
- Бухгалтерлік іс
- Валеология
- Ветеринария
- География
- Геология, Геофизика, Геодезия
- Дін
- Ет, сүт, шарап өнімдері
- Жалпы тарих
- Жер кадастрі, Жылжымайтын мүлік
- Журналистика
- Информатика
- Кеден ісі
- Маркетинг
- Математика, Геометрия
- Медицина
- Мемлекеттік басқару
- Менеджмент
- Мұнай, Газ
- Мұрағат ісі
- Мәдениеттану
- ОБЖ (Основы безопасности жизнедеятельности)
- Педагогика
- Полиграфия
- Психология
- Салық
- Саясаттану
- Сақтандыру
- Сертификаттау, стандарттау
- Социология, Демография
- Спорт
- Статистика
- Тілтану, Филология
- Тарихи тұлғалар
- Тау-кен ісі
- Транспорт
- Туризм
- Физика
- Философия
- Халықаралық қатынастар
- Химия
- Экология, Қоршаған ортаны қорғау
- Экономика
- Экономикалық география
- Электротехника
- Қазақстан тарихы
- Қаржы
- Құрылыс
- Құқық, Криминалистика
- Әдебиет
- Өнер, музыка
- Өнеркәсіп, Өндіріс
Қазақ тілінде жазылған рефераттар, курстық жұмыстар, дипломдық жұмыстар бойынша біздің қор #1 болып табылады.

Ақпарат
Қосымша
Email: info@stud.kz