Станция сызбасын таңдау


Жоспар
Кіріспе3
1 Станцияның техникалық-эксплуатациялық сипаттамасы6
1, 1 Станцияның техникалық сипаттамасы6
1, 2 Станцияның эксплуатациялық сипаттамасы7
2 Станция сызбасын таңдау8
2. 1 Қабылдау - жіберу жолдарының санын есептеу8
1, 2 Станцияның жол сызбасын таңдау9
1, 3 Станция типін таңдау9
1, 3 Жолаушылар ғимаратының орналасатын жерін анықтау10
1, 5 Жүк алаңы орналасатын жерді анықтау10
1, 6 Станция сызбасының нұсқаларын салыстыру11
1, 7 Кіреберіс жолдардың түйісуін таңдау12
3 Станцияның негізгі құрылғыларының өлшемін анықтау12
3, 1 Жолаушылық құрылғылар16
3, 2 Жүк құрылғылары17
4 Басқа да құрылғыларды анықтау19
4, 1 Жіберу жасағы20
4, 2 Қызметтік орындар20
4, 3 Электрлеу құрылғылары21
5 Қозғалыс қауіпсіздігін қамтамасыз ету. Станциядағы еңбекті қорғау22
Қорытынды25
Қолданылған әдебиеттер26
- Кіріспе
Қазақстанның экономикасының өсуінің жоғарғы деңгейі дамудың өзіндік моделінің құрылуы мен жүзеге асуының ұзақ мерзімге жоспарланған тиімділігін дәлелдейді. Индустриалдық-инновациялық даму стратегиясын жүзеге асыру мемлекеттен жаңа кадрлық потенциал мен экономиканың барлық саласының сапалық үздіксіз дамуына бағытталған кешенді күштерді талап етеді.
Мемлекеттің бірыңғай экономикалық кеңістігінің дамуы көбінесе әр аймақтың транспорттық инфраструктурасының даму деңгейіне байланысты. Осыған байланысты аймақтардың транспорт жүйесінің дамуы және орталық, жергілікті атқару органдарының транспорттың іс-әрекеттерді мемлекеттік реттеу өзекті болып табылады. Транспорт қызметі оны пайдаланушыларға, әсіресе тұрғындардың экономикалық қажеттіліктеріне, сонымен қатар елдің қауіпсіздігімен қорғанысын, бірлігін қамтамасыз етудің стратегиялық мәселелерін шешуге бағытталады.
Республикалық транспорттың кешені өзінің қазіргі кездегі дамуында негізгі құралдардың қанағаттанғысыз жағдайымен және инфраструктуралар мен технологиялардың жеткіліксіздігі мен ескіргендігімен сипатталады.
Транспорттық шығындар соңғы өніммен салыстырғанда жоғары, яғни ішкі теміржол мен автомобиль транспорттымен салыстырғанда 8% және 11%-дық деңгейде, нарықтық экономикасы дамыған елдердегі бұл көрсеткіш 4-4, 5%-ды құрайды.
Қазақстанның көрсеткіші бойынша тиімділігі 5 есе төмен. Сапалы транспорттың қызметке өсіп отырған сұраныс транспорттық жүйенің техникалық дамуының жеткіліксіз деңгейі мен транспорттық технологиялар саласындағы артта қалушылықтарға байланысты толығымен қанағаттандырылмайды.
Барлық тасымал көлемінің аса жоғары өсуі, оның ішінде көмір, мұнай, металл өнімдері, химиялық және мұнай химиялық өнімдері, басқа жүктердің тасымалдануы жеткіліксіз өткізу қабілетімен баяулатылады.
Қыруар ұлттық өнімдердің транспорттық қызметтердің экспорты есебінен ұлғаю мүмкіндігі жүзеге асырылуда, өйткені Отандық тасымалдаушылардың транспорттық қызметтің әлемдік нарығында нақты мүмкіндікке жауап бере алады және республиканың транспорттық потенциалы толық пайдаланылмай отыр.
Қазақстан Республикасының Евразиялық құрлықтың орталығында орналасуы оның Еворпа мен Азия арасындағы, Россия мен Қытай арасындағы транзиттік орнының геосаяси ролін анықтайды.
Қазақстан территориясы бойынша төрт халықаралық транспорт дәлізі өтеді. Трансазиаттық теміржол магистралінің Солтүстік дәлізі. Батыс Европа-Қытай, Корей түбегі мен Достық учаскесіндегі Қазақстан мен Ресей арқылы Жапония, Ақтоғай-Саяқ-Мойынты-Астана-Петропавловск.
- Оңтүстік дәліз ТАЖМ: Оңтүстік-Шығыс Европа-Қытай мен Оңтүстік Шығыс Азия, Түркия, Иран, Қазақстан мен Орталық Азия мемлекеттері арқылы (Достық-Ақтоғай-Алматы-Шу-Арыс-Сарыағаш) .
- Траика: Шығыс Европа-Орталық Азия қара теңіз арқылы, Кавказбен Каспий теңізі (Достық-Алматы-Ақтау учаскесінде) .
- Солтүстік-Оңтүстік: Парсы шығанағындағы Солтүстік Европа елдері Ресей мен Иран арқылы Қазақстанның қатысуымен Ақтау теңізі порты-учаскелерінде Ресейдің Орал аймағы және Ақтау-Атырау.
Негізгі трансконтиненталды маршруттарды құрастыруға қатысатын бағыттардан басқа аймақтық транзиттік тасымалдау үшін маңызды мәнге ие Сарыағаш-Арыс-Қандаған-Озинки бағыттары бойынша Орталық ТАЖМ дәлізін айта кеткен жөн.
Дәліздер Шығыс-Батыс қатынасындағы қашықтықтарды қысқартуға және жүкті жеткізу уақытын қысқартуға көмектеседі. Осылайша транспорттық дәліздердің географиялық желісі өндірістік және шаруашылық қажеттіліктерді қанағаттандыруға бағытталады. Оның алдағы уақытта оңтайландыруы мен перспективалардың территориялық дамуын, өндіру желілерін орналастыру мен тұрғындарды қоныстандыруды қайта бағдарлау талап етіледі.
- 1 Станцияның техникалық-эксплуатациялық сипаттамасы1, 1 Станцияның техникалық сипаттамасы
Станция ІІ категориялы желінің екі жолды учаскесінде жобаланады. Станцияның горизонталды алаңда 1950 м. ұзындықта орналастырылады. Қабылдау-жіберу жолдарының электровоздық пайдалы ұзындығы-1250 м. Станцияға ЖБИ №3 зауытының кіреберіс жолы қиылысуы керек.
Станцияда келесі жолаушылар құрылғылары орналастырылады:
- 400 метрлік жолаушылар платформалары;
- жолаушылар ғимараты;
Станцияның жүк ауласында:
- 60 метрлік 2 жабық қойма;
- 84 метрлік жабық платформа;
- 110 метрлік төгу алаңы бар.
Тапсырма бойынша кіреберіс жолға қызмет көрсетуге арналған 1 қосымша жол жобаланады.
Станциядағы рельстердің типтері:
- негізгі жолдарда Р65;
- созылмалы, тиеу-түсіру, сақтандыру түкпірі, таразылау;
- Р50-ден төмен емес ескі қалалық.
Желідегі поездардың қозғаласындағы сигнализация мен байланыс құралдары - автоблокировка.
- 1, 2 Станцияның эксплуатациялық сипаттамасы
Станция - жол торабы мен қабылдау, жіберу, қиылысу, басып озу құрылғылары бар жекелеген пункт, ал дамыған жол құрылғыларында-поездарды құрастыру мен таратуға және жүктерді, қол жүгін тиеу, қабылдау, түсіру, беру бойынша құрылғылары бар.
Тәулігіне станциядан 90 жұп поезды өткізу жоспарланады. Жұмыс түріне қарай аралық болып табылады, жұмыс көлеміне қарай ІІ классқа жатқызылады.
Станцияның міндеті - поездарды өткізу, қиылыстыру, басып озу, құрама поездармен маневрлер жүргізу (вагондарды тіркеу, ағыту, беру және тазалау), жүк операцияларын жүргізу, жолаушыларды отырғызу және түсіру, жүктерді қабылдау, беру, тиеу және түсіру, почталық операциялар.
- 2 Станция сызбасын таңдау2. 1 Қабылдау - жіберу жолдарының санын есептеу
Аралық станциялардағы қабылдау - жіберу жолдарының саны қозғалыс өлшеміне байланысты бекітіледі және 2. 1 кестеде көрсетілген саннан кем болмауы керек. Егер тірек станциясы болса немесе үлкен жүк өңделетін кіреберіс жолдар қиылысатын болса көп жолаушылар поезын өткізетін болса, онда кесте мәліметіне 1-2 жол қосылады.
- кесте
Жоспарланған өлшемдерге сәйкес 7 станцияда қабылдау - жіберу жолдарының саны - 3. Станцияда маневрлік жұмыстар үшін 1 созылмалы жол жобаланады, ол қабылдау - жіберу жолының берілген пайдалы ұзындығының жартысынан кем болмауы керек. Станциядағы жалпы жолдардың саны мына формула бойынша анықталады:
m общ =m гл +m по +m доп (1)
мұнда, m гл -негізгі жолдар саны;
m по -қабылдау - жіберу жолдарының саны;
m доп -созылмалы жолдарға қызмет көрсетуге арналған қосымша жолдардың саны.
Сандық мәліметтерді формулаға (1) қоя отырып станциядағы жолдардың жалпы санын анықтаймыз:
m общ =2+6+1=9 жолдар
- 1, 2 Станцияның жол сызбасын таңдау
Станцияның жол сызбасы мынадай бірізділікпен бекітіледі:
- аралық станцияның типі таңдалады (ұзын, жартылай ұзын немесе көлденең жолдар) ;
- жолаушылар ғимаратының орналасатын жерін анықтайды;
- жүк алаңының орналасатын жерін бекітеді;
- кіреберіс жолдардың түйісуін таңдайды;
- станцияның тұрақты екі сызбасын салыстырады. 1, 3 Станция типін таңдау
Көрсетілген рекомендациялауға сай аралық станциялардың типтерін бекітеміз. Қабылдау - жіберу жолдарының пайдалы ұзындығына байланысты және аралық станцияның типін анықтау үшін келесі нормативтердің бастауы анықталады:
Станцияның көлденең типі - L пл min =L по +600 м;
Жартылай ұзақ станция типі - L пл min =L по +1150 м;
Ұзақ станция типі - L пл min =2L по +800 м;
Сандық мәліметтерді формулаға қойп анықтаймыз:
L пл min =1250+600=1850 м.
L пл min =1250+1150=2400 м.
L пл min =2*1250+800=3300 м.
Алаңның минималды ұзындығын біле отырып және оны алаңның берілген ұзындығымен салыстыра отырып (L пл зад ≥ L пл min ) (1950≥1850), көлденең типті нақты бекітеміз.
- 1, 3 Жолаушылар ғимаратының орналасатын жерін анықтау
Жолаушылар ғимараты поселка жағынан орналасуға тиіс, ал егер ол болмаса жота жақтан орналасады. Жартылай ұзақ бағытта басты жол трассасымен салыстырғанда жолаушылар ғимараты жайлы жерге және мүмкіндігінше жолаушылар платформасының ортасына қарсы орналастырылады. Басқа факторлар болмаған жағдайда жолаушылар ғимараты жүк алаңы мен негізі маневрлік жұмыстар жүретін жер қиылысатын жерге орналасады.
- 1, 5 Жүк алаңы орналасатын жерді анықтау
Аралық станциядағы жүк құрылғылары не жолаушылар ғимараты жағынан, не қарама - қарсы жақтан орналаса алады. Бұл міндеттемемен бекітіледі. Бірақ жүк алаңын Шығыстан не Батыстан орналастыруға болады. Бұл мәселені шешуде қиылысатын жол мен кіреберіс жолдың орналасуын есепке алған жөн. Созылмалы жолдың автокөлік жолымен қиылыспағаны дұрыс.
Сондықтан жа жол мен жол қиылысын станцияның әр ауданына орналасқаны ыңғайлы. Жол қиылысының орналасуы жергілікті жердің жоспарына сай орналастырылады не таңдалады. Бұл жағдайда станцияға жақындау профилі маңызды. Жол қиылысы негізінде профиль ережесі бойынша поездың жеңіл тоқтауын қамтамасыз ететін кіру бағдаршамы мен бірінші стрелкалық аударымның арасында орналасады. Жол қиылысының орнын таңдай отырып, созылмалы жолға орын таңдалады. Жүк ауласы үнемі созылмалы жолмен түйіседі.
- 1, 6 Станция сызбасының нұсқаларын салыстыру
Станцияны салыстыру үшін таңдалған типтік станция пайдаланылды. Салыстырылатын станциялардың сызбаларында бейнеленген.
Станция сызбаларын салыстыру нәтижесінде қарастырылған сызбалардың қайсысы жақсы екенін анықтаған жөн.
Бұл әрбір нұсқаның артықшылығы мен кемшілігін ескеретін техникалық - эксплуатациялық салыстыру нәтижесінде анықталады:
- жолаушылар мен станция жұмыскерлері үшін жайлылық пен қауіпсіздік деңгейі;
- автотранспортты рационалды пайдалану;
- поездардың қозғаласының қауіпсізідігін қамтамасыз ету;
- шығар ауыздағы маршруттардың ажырау мүмкіндігі;
- станцияның бұрын төселген жолдар мен стрелкалық аударымдарын аз ғана қайта өңдеумен әрі қарай даму шарттары.
Салыстыру үшін жолдың жартылай ұзақ орналасу сызбасы алынды. Негізгі сияқты аралық станциялар үшін басқалармен салыстырғанда өткізу қабілеті мен жол қауіпсізідігін қамтамасыз ету бойынша артықшылықтары бар жартылай ұзақ жолдардың сызбасы ұсынылады. Ақырында көлденең орналасқан жолдар сызбасын таңдаймыз.
- 1, 7 Кіреберіс жолдардың түйісуін таңдау
Берілген аралық станция ауданында тапсырма бойынша ЖБИ №3 зауыты орналасады, оған осы өнеркәсіптің ішкі желісімен станциямен байланысы үшін кіреберіс жол берілген. Кіреберіс жол бойынша зауытқа және кері вагондарды беру жүзеге асырылады.
Станцияның таңдалған сызбасы үшін кіреберіс жолдардың ұтымды орналасуы бекітілген. Таңдалған сызба үшін кіреберіс жолдың қолайлы түйісуі бекітіледі. Кіреберіс жолдардың қиысу нұсқасын таңдауда сызбаны пайдалану ұсынылады. Егер станцияға жұмыстың үлкен көлемі бар кіреберіс жолы (шахтаға, зауытқа, рудникке) қиылысса, онда қабылдау - өткізу операциялары үшін қабылдау - жіберу жолдары қарастырылады. Мұндай жағдайда кіреберіс жолдар мұндай жолдарға шығуы мүмкін болады. Қажет болған жағдайда басқа да шешім қабылдауға болады, бірақ олар дәйекті болуы керек. Бұл жол созылмалы жолдың жалғасына түйіседі және қызмет көрсету үшін қосымша жолдары болады.
- 3 Станцияның негізгі құрылғыларының өлшемін анықтау
Станцияның масштабтық емес сызбасына енетіндер: жол кіндіктері, жолдар мен стрелкаларды номерлеу, жолдарды мамандандыру, кіру және шығу дабылдары және оларды номерлеу, шектеу бағандары, стрелкалық аударымдар маркалары, жол аралықтарының ені, рельстердің типтері, стрелкалық түйіндер, разъездердің ұзындығы, жолаушылар және жүк құрылғыларының өлшемдері. Сонымен қатар пайдалы ұзындығы 850, 1050 немесе 1250 метрге тең болатын ең қысқа (есептік) жол бекітіледі. Барлық типтегі станцияларда екі жол есептік болып табылады (біреуі тақ, біреуі жұп бағытта) .
Жолдар мен стрелкаларды ереже бойынша нөмірлейді. Стрелкалық аударымдар сәйкес маркадағы біліктермен техникалық эксплуатациялау ережелеріне сәйкес төселуі керек. 1/11 маркалы стрелкалық аударымдарды негізгі жолдардың арасындағы съездерде төсейді. Егер тапсырма бойынша станция жолаушылар поездарының жүрден қозғалыстағы желілеріне орналасса, онда негізгі жолдарға 1/11-ден тік емес стрелкалық аударымдар төсейді. Бұл жағдайда негізгі жолдардың арасындағы съездерде 1/18 маркалы стрелкалық аударымдарды төсеуге болады. Жол аралықтарының қашықтығы стандартты қабылданады (3. 1-кесте) .
3. 1-кесте
Жолаушылар платформасы орналасқан жол аралығының ені:
e=b 1 +2b 2 , м (3. 1-кесте)
мұнда, b 1 -платформаның ені, м.
b 2 -платформа мен жол білігінің габариттік арақашықтығы, м.
Аралық станциядағы аралық платформалардың ені 4 м. қабылданады. Қала маңайындағы учаскелердің станцияларында, сонымен қатар жүрдек поездар жүретін желілерде платформаның ені платформа мен жолаушылар ғимаратының арасындағы өткелердің өлшемдерімен және типімен анықталады (тоннель, жаяулар көпірі) және жобаға алынады. Бұл жағдайда аралық жолаушы платформасының ені:
b 1 =a+2k+2c, м. (3. 2-кесте)
болуы мүмкін. Мұнда, а-өтудің ең аз ені, м;
k-платформадағы құрылыстың шеті мен платформа шетінің арасындағы габариттік ара қашықтық (2 метрден кем емес) ;
с-тоннельге кірудегі тік панельдердің құрылыстың қалыңдығы; с=(0, 15±0, 20) м.
е=4+2·1, 2+2·0, 15=6, 7 м.
Өту мен түсу жолының ені жолаушылар легіне байланысты анықталады, ол 3. 2-кестеде көрсетілгеннен кем болмауы керек.
3. 2-кесте
Негізгі қабылдау-жіберу және басқа жолдардағы рельстердің типтерін 3. 3-кестедегіге сай қабылданады.
3. 3-кесте
Кіру бағдаршамдары бірінші стрелкаға 50 метрден жақын емес қашықтықта орналастырылады немесе бірінші стрелканың шектеу бағанынан 50 метр қашықтықта орналастырылады. Олар электрлік тартуда сол нүктелерден 200-300 м. қашықтыққа қойылады. Бұл кейбір қашықтықты талап ететін станция мен айналымның байланыс желісінің арасындағы ауа аралық қашықтығына байланысты. Кіру бағдаршамы осы әуедегі қашықтықтың алдына орналасуға тиіс, себебі кіру бағдаршамының алдына тоқтайтын электровоз станция мен айналымның байланыс желісін іліп кетпеуі үшін, яғни айналымда байланыс желісінде жөндеу жұмыстары жүріп жатқан кезде. Кіру бағдаршамын бас әріптермен көшірмелейді Ч немесе Н.
Шығу бағдаршамдары орнатылады:
- оқшалау жоспары немесе рельс рамасының жоспарына қарсы стрелкаға;
- егер шығу бағдаршамы мен шектеу бағаны бір жол аралығында орналасса, онда бағдаршам стрелкалық аударымның ортасына, ал егер олар әр түрлі жол аралығына орналасса, онда шектеу бағанынан 3, 5 м. қашықтыққа орнатылады.
Шығу бағдаршамдарын Ч және Н бас әріптерімен және жолдың номерін білдіретін цифрлық индекспен белгіленеді. Стрелкалық түйіндер 2 қосымшаға сай есептеледі (көрші стрелкалық аударымдардың араларындағы қашықтық анықталады) .
Съездердің есебі 1-суреттегі формуламен орындалады:
X-eN, м. (1-сурет)
мұнда, е-жол аралығының ені, м.
N-қиылыс маркасының бөлгіші
Формулаға сандық берілгенді қойып, анықтаймыз:
1) X 11 = 4, 1 x 11= 45, 1 5) X 9 = 4, 1 x 9= 36, 9
2) X 11 = 4, 8 x 11= 52, 8 6) X 9 = 4, 8 x 9= 43, 2
3) X 11 = 5, 3 x 11= 58, 3 7) X 9 = 5, 3 x 9= 47, 7
4) X 11 = 7, 5 x 11= 82, 5 8) X 9 = 7, 5 x 9= 67, 5
1-сурет. Съездер: а) күнделікті, б) жол қиылысы.
- 3, 1 Жолаушылық құрылғылар
Жолаушылық құрылғыларға жолаушылар ғимараты, жолаушылар платформалары, перрон құрылғылары мен өтулер, вокзал маңындағы алаңдар жатады. Жолаушылар ғимараты мен басқа да ірі ғимараттар мен құрылыстарды жақын жатқан негізгі жолдың кіндігінен 20 метрден кем емес қашықтыққа, жолаушылар поезының жылдам қозғалысында 25 метрден кем емес қашықтықта орналастырылуы керек. Типтік вокзалдардың негізгі өлшемдері 34. -кестеде берілген.
3. 4-кесте
Вокзал маңы алаңының өлшемі 0, 5 га-дан кем емес өлшемде қабылданады. Жолаушылар ғимаратының фасадының бойымен ені 2, 25 метрден кем емес тратуар жасау керек. Жобада жолаушылар платформасының ұзындығын 500 м. өлшеммен қабылдау керек.
Дегенмен преспективада бағдаршамдар мен басқа да станция құрылғыларынсыз 600 метрге дейін платформаны ұзарту мүмкіндігін қарастырған жөн. Платформаны ұзарту үздік сызықпен көрсетіледі. Жылдамдық желілерінде, соынмен қатар моторвагонды қозғалмалы составтың платформаға жақындауын рельстің басынан 1100 мм жоғары деңгейімен арттырумен орналастырады. Барлық басқа жағдайларда аласа платформалар рельстің басынан 200 мм биіктікте жобалануы мүмкін.
Негізгі және аралық платформалар өзара байланысуы керек, олар рельс басының жоғарғы деңгейінде жолаушылар ғимараты өтулермен немесе әр түрлі деңгейде біріктіріледі. Әр түрлі деңгейдегі өтулердің өте көп жолаушыларды түсіру мен отырғызуда қауіпсіздігін қарастыру керек, халық көп қоныстанған жерлерде жолаушылардың платформадан өтуі кезінде поезд қозғалысын бөгейді, сонымен қатар 120 км/сағаттан артық жылдамдықтағы поездардың өтуі қарастырылады. Жолаушылар құрылғыларының орналасуы 2-суретте көрсетілген.
2-сурет. Аралық станциядағы жолаушылар құрылғыларының орналасуы.
1-жолаушылар ғимараты; 2-қосымша орындар блогы; 3-су көзі ғимараты;
4-негізгі жолаушылар платформасы; 5-аралық жолаушылар платформасы.
- 3, 2 Жүк құрылғылары
Аралық тірек станцияларындағы жүк құрылғыларын жобалауда жүк қоймаларының минималды пайдалы ұзындығын анықтау керек. Ол 3-суретте
3-сурет. Аралық тірек емес станциялардағы жүк құрылғыларын орналастыру сызбасы.
1-жабық қойма; 2-жабық платформа; 3, 4-аласа және биік ашық платформа.
Тиеу-түсіру жолдарының пайдалы ұзындығы 3-сурет бойынша мына формуламен анықталады:
l пол 6 =X+T+25+∑l ск -l с
l пол 6а =l ск +25+Т+Х-l c
мұнда, Х-съездің ұзындығы, Т-қисық сызық тангенсі, 25-үлкен жүк вагонның орналастыру базасының ұзындығы, l c -аударымның орталығынан шектеу бағанына дейінгі қашықтық, l ск -қойманың ұзындығы.
l пол 6а =256+25+1, 22+43, 2-43=281, 42 м.
а сызбасы қойманың өте үлкен ұзындығында қолданылады, мұнда ∑l ск →1000 м, ал с сызбасы аз ұзындықтағы, мұнда ∑l ск <100 м.
Теміржол жағынан рампаның ені 3 метрге тең, ал автомобиль транспорты жағынан-1, 5 м, бұл механикаландырылған құралдардың маневрлігін қамтамасыз етеді.
- 4 Басқа да құрылғыларды анықтау
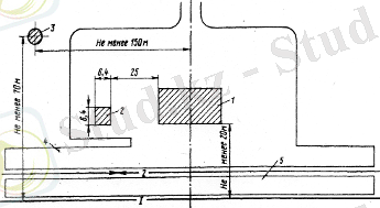
Тұрғылықты пункттер мен станцияның қажеттілігін қамтамасыз ету үшін су қоймасы салынады, ол жолаушылар ғимаратының көлдігінен 150 метрден кем емес қашықтықта және негізгі жолдың кіндігінен 70 метр қашықтықта орналасады.
Су қойманың ғимараттан су тарату жүйесі шығарылады. Су жолаушылар ғиматарына, қосымша орындар блогына, поселкаға және жүк ауласына таратылады. Су тарату желілерін тарату теміржол желілері тік бұрышпен қиылысады. Су құбырларын ғимараттар мен стрелкалық аударымдардың астынан таратуға тыйым салынады. Су тарату желілерінде судың ағу бағытын стрелкалармен көрсетеді (4-сурет) .
4-сурет. Сумен жабдықтау желісі.
- 4, 1 Жіберу жасағы
Жіберу жасағы (жүйесі) әр түрлі құрылыстарды, станцияларды, қорғаныс құрылғыларын, орман ағаштарын, қызметтік және техникалық ғимараттарды орналастыру үшін қарастырылады. Станцияларда тарату жүйесі болашақта дамыту жобасына сай белгіленеді.
Кез келген жағдайда шеткі жолдың кіндігінен тарату жүйесіне дейінгі шекараға дейінгі қашықтықты 10 метрден кем емес қашықтыққа қабылдаймыз.
- 4, 2 Қызметтік орындар
- Іс жүргізу
- Автоматтандыру, Техника
- Алғашқы әскери дайындық
- Астрономия
- Ауыл шаруашылығы
- Банк ісі
- Бизнесті бағалау
- Биология
- Бухгалтерлік іс
- Валеология
- Ветеринария
- География
- Геология, Геофизика, Геодезия
- Дін
- Ет, сүт, шарап өнімдері
- Жалпы тарих
- Жер кадастрі, Жылжымайтын мүлік
- Журналистика
- Информатика
- Кеден ісі
- Маркетинг
- Математика, Геометрия
- Медицина
- Мемлекеттік басқару
- Менеджмент
- Мұнай, Газ
- Мұрағат ісі
- Мәдениеттану
- ОБЖ (Основы безопасности жизнедеятельности)
- Педагогика
- Полиграфия
- Психология
- Салық
- Саясаттану
- Сақтандыру
- Сертификаттау, стандарттау
- Социология, Демография
- Спорт
- Статистика
- Тілтану, Филология
- Тарихи тұлғалар
- Тау-кен ісі
- Транспорт
- Туризм
- Физика
- Философия
- Халықаралық қатынастар
- Химия
- Экология, Қоршаған ортаны қорғау
- Экономика
- Экономикалық география
- Электротехника
- Қазақстан тарихы
- Қаржы
- Құрылыс
- Құқық, Криминалистика
- Әдебиет
- Өнер, музыка
- Өнеркәсіп, Өндіріс
Қазақ тілінде жазылған рефераттар, курстық жұмыстар, дипломдық жұмыстар бойынша біздің қор #1 болып табылады.

Ақпарат
Қосымша
Email: info@stud.kz